Pozemek k bydlení, 1204 m2, Jindřichovice
Hledáte místo, kde si jednou postavíte svůj vysněný dům? Nebo zajímavou investici do budoucna v lokalitě, kde mají pozemky dlouhodobě rostoucí hodnotu? Právě takovou příležitost vám nyní nabízím.
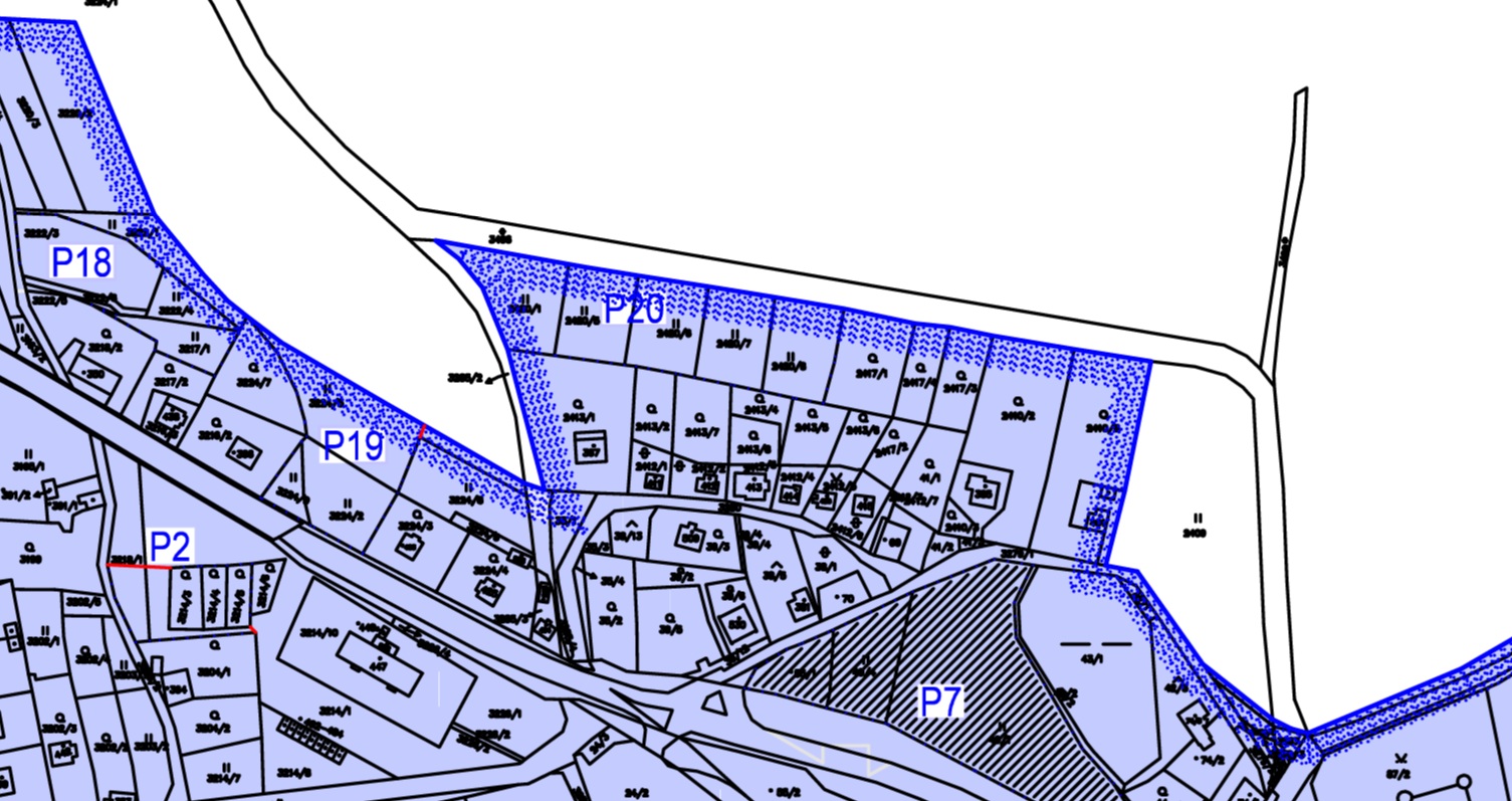
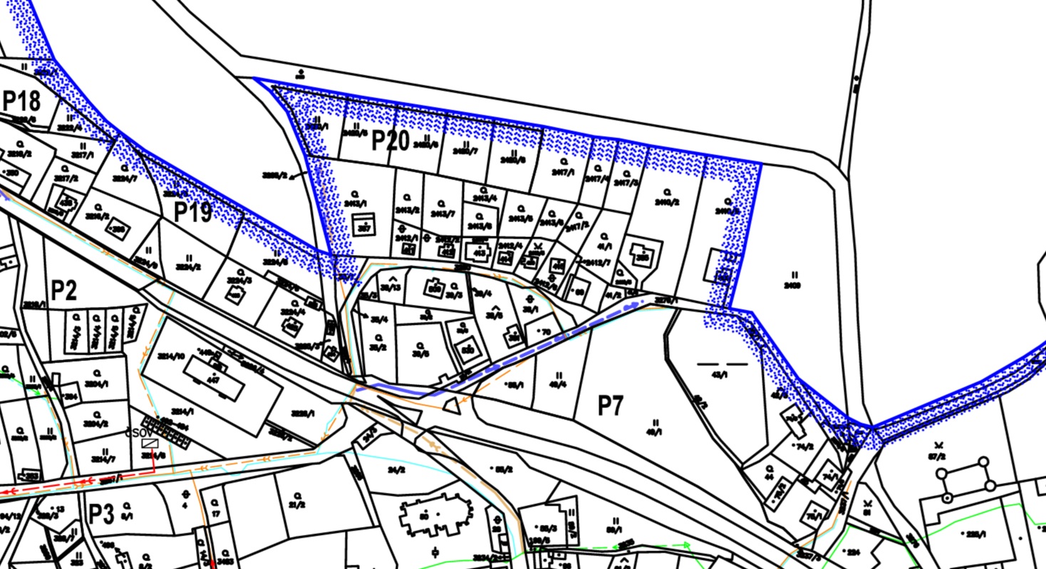
V severní okrajové části obce Jindřichovice na Sokolovsku nabízím ke koupi pozemek o výměře 1204 m², který je dle územního plánu veden jako plocha pro bydlení venkovské. Jedná se o lokalitu určenou pro budoucí výstavbu rodinných domů, kde se nachází několik podobných pozemků. Díky své poloze nabízí příjemné výhledy do okolní krajiny – na pole, louky i lesy, které tvoří typickou scenérii této části Krušných hor.
Samotný pozemek působí velmi příjemným a otevřeným dojmem. Okolní příroda dodává místu klidnou atmosféru, kterou ocení každý, kdo hledá únik od ruchu městského života. Ranní káva s výhledem do zeleně, večerní procházky po polních cestách nebo víkendové výlety do blízkých lesů – to vše může být součástí vašeho budoucího života právě zde.
Pozemek se nachází na okraji zástavby a je obklopen otevřenou krajinou. Podél pozemku vede polní cesta, která zároveň kopíruje elektrické vedení. Právě toto vedení má své ochranné pásmo, které je v současné době jedním z faktorů, proč zatím není vybudována oficiální přístupová obecní komunikace.
Podle informací z obce se do budoucna počítá s možností přeložky elektrického vedení, nicméně v současné době obec nedisponuje dostatečnými finančními prostředky na realizaci tohoto kroku. Právě tato situace může být zajímavá především pro investory nebo pro ty, kteří hledají pozemek s potenciálem do budoucna.
Inženýrské sítě se nachází v blízkosti – voda a kanalizace jsou přivedeny k prvnímu domu v řadě. V případě budoucí přeložky elektrického vedení a vybudování nové komunikace by bylo možné tyto sítě dále prodloužit právě v rámci nové infrastruktury.
Díky tomu se jedná o pozemek s potenciálem, který může v budoucnu výrazně získat na hodnotě. Trh se stavebními pozemky je dlouhodobě charakteristický nedostatkem nabídky, a právě proto jsou podobné příležitosti stále vyhledávanější. Investice do pozemků patří dlouhodobě mezi stabilní formy uložení financí.
Jindřichovice jsou menší obec na Sokolovsku, která leží v krásné krajině západní části Krušných hor. Lokalita je oblíbená především mezi lidmi, kteří hledají klidné bydlení v přírodě, ale zároveň chtějí mít větší města v rozumné dojezdové vzdálenosti.
Obec nabízí základní občanskou vybavenost a příjemnou komunitní atmosféru. Okolní příroda je ideální pro milovníky turistiky, cyklistiky, houbaření i zimních sportů. Nedaleko se nachází také oblíbené horské oblasti a rekreační lokality Krušných hor.
Výhodou je také dobrá dostupnost do okolních měst:
Kraslice – přibližně 10 minut jízdy
Sokolov – cca 20 minut
Karlovy Vary – přibližně 30 minut
Německé hranice – jen několik minut jízdy
Blízkost Německa navíc přináší další možnosti pracovních příležitostí, výletů i nákupů.
Pozemek v Jindřichovicích je především o místě a atmosféře. Otevřený prostor, výhledy do krajiny, blízkost lesů a klid venkova vytvářejí prostředí, které dnes stále více lidí vyhledává.
Ať už hledáte pozemek pro budoucí výstavbu rodinného domu, nebo investici do nemovitosti, která může v čase výrazně získat na hodnotě, může být tato nabídka velmi zajímavou příležitostí.
Pokud vás tento pozemek zaujal a chcete se o něm dozvědět více, rád vám poskytnu další informace nebo se s vámi osobně setkám přímo na místě.
Možná právě tady začíná váš budoucí příběh.
Líbí se Vám byt a potřebujete více informací?
Tak neváhejte a zavolejte mi nebo napište, a objednejte si prohlídku!

Narodil jsem se v Karlových Varech a celý život jsem s tímto krajem pevně spojený. Tady jsem vyrostl, postavili jsme si zde domov, vychovali děti a dnes tady trávíme čas i s našimi vnučkami. Karlovy Vary a jejich okolí dobře znám, mám to tady rád a právě proto mě těší pomáhat lidem s prodejem a hledáním domova právě v regionu, který je mi blízký.
Než jsem vstoupil do světa realit, působil jsem v několika obchodních společnostech. Ať už jsem dělal jakoukoliv práci, vždy pro mě byla důležitá slušnost, férové jednání a profesionální přístup ke klientům. Věřím totiž, že lidé si nakonec nejvíce pamatují to, jak se vedle vás cítili.
Realitám se naplno věnuji od roku 2017. Začátky nebyly jednoduché, ale právě díky osobnímu přístupu, poctivé práci a důrazu na kvalitu se mi postupně podařilo vybudovat jméno, díky kterému mě dnes klienti často oslovují na základě doporučení nebo referencí. A toho si opravdu vážím.
Práce realitního makléře mě baví dodnes stejně jako na začátku — možná ještě víc. Každá nemovitost je jiná a za každým prodejem se skrývá lidský příběh. Někdy radostný, někdy složitý, ale vždy důležitý. I proto se nesnažím být jen „člověkem, který prodá byt“. Chci být partnerem, na kterého se klient může spolehnout a který ho celým procesem bezpečně provede.
Velký důraz kladu na moderní a profesionální prezentaci nemovitostí. Spolupracuji s profesionálním fotografem, vytvářím videoprohlídky, využívám záběry z dronu, připravuji vlastní webové stránky nemovitostí, 3D půdorysy, online propagaci i prezentaci na sociálních sítích. U některých zakázek využívám také online aukce nebo speciální marketingové kampaně. Ne proto, aby vše vypadalo „hezky“, ale proto, že kvalitní prezentace má přímý vliv na zájem kupujících i výslednou prodejní cenu.
Za svou práci jsem během let získal řadu ocenění — například Makléř regionu, Makléř republiky nebo ocenění v soutěži Realiťák roku. V letech 2022 a 2023 jsem se stal nejúspěšnějším makléřem společnosti M&M reality v celé České republice. Těchto úspěchů si vážím, ale upřímně — největší hodnotu pro mě mají spokojení klienti, kteří se vracejí nebo mě doporučují dál svým známým a rodině.
Právě proto vznikly i tyto stránky. Chtěl jsem vytvořit místo, kde lidé najdou nejen nabídky nemovitostí, ale také informace, rady a pohled do zákulisí realitního světa. Protože když dva dělají stejnou práci, nikdy ji nedělají stejně. A u realit to platí dvojnásob.
Prodej nemovitosti totiž není jen podpis smlouvy. Často jde o velkou životní změnu, důležité rozhodnutí a krok, který člověk neřeší každý den. A právě proto věřím, že si zaslouží lidský přístup, klidnou komunikaci a maximální péči.
Záleží mi na dobře odvedené práci, na důvěře klientů i na svém jménu. A největší odměnou jsou pro mě spokojení lidé, kteří mají pocit, že na celý proces nebyli sami.
Pokud jste dočetli až sem, děkuji vám za váš čas. A pokud vás cokoliv zajímá, budu rád, když se ozvete. Rád se s vámi sejdu osobně — třeba u kávy — a společně probereme vše, co budete potřebovat vědět o prodeji vaší nemovitosti.
Povinné údaje:
Jméno: Boris Musil
Místo podnikání: Děpoltovická 369, 36001 Otovice
IČO: 468 70 474, DIČ: **0419****
Datová schránka: z3muun6
Vznik živnostenského oprávnění: 9.9.1992
Vznik vázané živnosti realitní zprostředkování: 18.6.2020
Živnost přidělil: Magistrát města Karlovy Vary